Час серверу:





















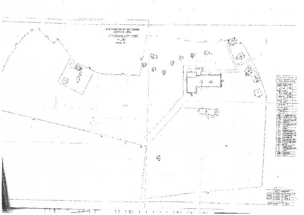
Сумська обл., Сумський р-н, смт. Низи, «Лісовий затишок» база відпочинку
Нежитлові приміщення бази відпочинку «Лісовий затишок», загальною площею 2441,60 м. кв. складається з:
спальний корпус "А" площею 1951,3 кв.м.,
котельня "Б" площею 126,2 кв.м.,
трансформаторна підстанція "б" площею 24,7 кв.м.,
сарай "В", гараж "Г",
житловий будинок "Д" площею 49,1 кв.м.,
спальний корпус №2 "Е" площею 49,5 кв.м.,
спальний корпус "Ж" площею 76,0 кв.м.,
більярдна "З" площею 45,9 кв.м.,
літній житловий будинок "И" площею 12,2 кв.м.,
літній житловий будинок "К" площею 12,2 кв.м.,
літній житловий будинок "Л" площею 12,3 кв.м.,
літній житловий будинок "М" площею 12,7 кв.м.,
літній житловий будинок "Н" площею 12,7 кв.м.,
літній житловий будинок "П" площею 12,7 кв.м.,
очисні споруди "Р" площею 44,1 кв.м.,
склад "О", водопідйомна автономна утановка "С", навіс "У", огорожа №1-2
Розташовані на земельній ділянці кадастровий номер 5924755500:04:002:0001 площею 4.9213 га. (4,5225 га - під зеленими насадженнями, 0,3988 га - під забудовами)
Арешт всього майна №31843668 зареєстрований 04.06.2019 року Сумським районним відділом ДВС ГТУЮ в Сумській обл на підставі постанови про арешт майна боржника №58759154 від 02.04.2019 року
Податкова застава №33813736 зареєстрована 23.10.2019 року ВК СМР на підставі акту опису майна №4 від 09.10.2019 року виданий Головним управлінням ДПС у Сумській обл
Арешт на нежитлові приміщення №35480776 зареєстрований 13.02.2020 року приватним виконавцем Мукорезом О.Л. на підставі постанови про арешт майна боржника ЗВП №61204437 від 13.02.2020 року.
Список учасників:
Майно знаходиться за адресою: Сумський р-н, смт. Низи, «Лісовий затишок» база відпочинку. (с. Патріотівка). Зберігач Шаповал Олександр Сергійович, довідки за телефоном +380956702056 Мукорез О.Л.